news_header_top
16+
news_header_bot
news_top

В Казани более чем на месяц ограничат движение по улице Лейтенанта Красикова

Читайте нас в
В Казани более чем на месяц ограничат движение по улице Лейтенанта Красикова
Фото: kzn.ru

В столице Татарстана более чем на месяц ограничат движение транспорта по улице Лейтенанта Красикова. Соответствующее распоряжение опубликовано в Сборнике документов и правовых актов муниципального образования города Казани.

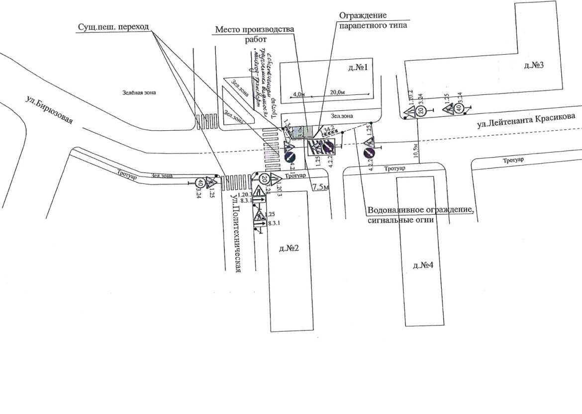
Участки улицы около домов №1 и №3 окажутся закрыты для машин с 25 марта по 30 апреля, отмечается в тексте документа.

Схема организации дорожного движения на улице Лейтенанта Красикова

Изображение: скриншот документации

Причиной временных неудобств станут работы по ремонту участка водопровода, проходящего по улицам Окраинная, Лейтенанта Красикова и Бирюзовая от насосной станции второго подъема на улице Магазинная.

Ранее «Татар-информ» сообщал, что на участке улицы Кави Наджми в Казани введут одностороннее движение.

news_right_1
news_right_2
news_bot