news_header_top
16+
news_header_bot
news_top

Власти Казани до конца августа частично ограничили движение по улице Фучика

Читайте нас в

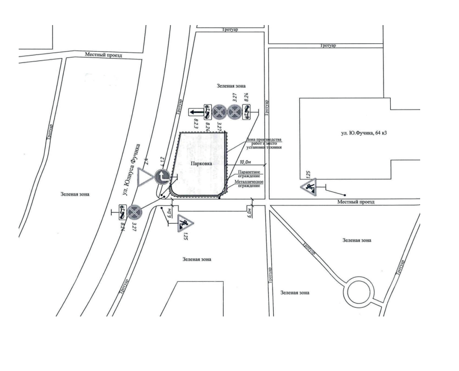
В Казани перекрыт для движения участок улицы Фучика из-за работ, связанных с возвездением второй ветки метрополитена. Распоряжение опубликовано в новом сборнике документов и правовых актов, размещенном на сайте мэрии.

«В целях безопасного проезда транспортных средств и безопасного движения пешеходов при установке ограждений при производстве работ по строительству трассы тепловода по объекту «Первый участок второй линии метрополитена г. Казани от станции „Фучика“ до станции „Сахарова“», — говорится в документе.

Отмечается, что ограничение действует в районе дома №64е до 25 августа 2023 года.

Фото: скриншот сборника документов.

Также в сборнике упоминается о перекрытии участка улицы от дома №145а до №149, о котором ранее сообщал «Татар-информ».

news_right_1
news_right_2
news_bot